$97,500
Detroit Lakes, MN 56501
MLS# 6754296

1 / 21
Property Description
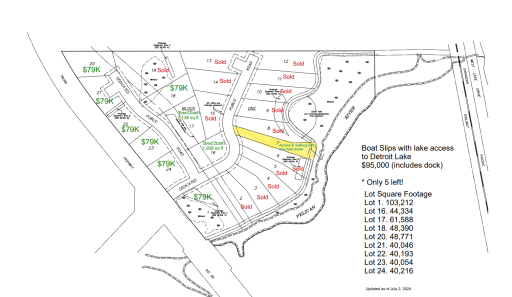
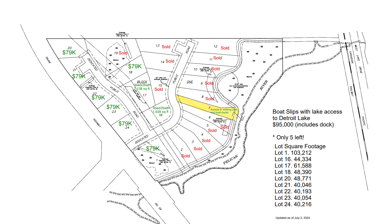
BRANCH CREEK-OFFERING DIRECT ACCESS TO DETROIT LAKE: Ideal location to build what fits your lifestyle. These spacious lots are framed by the Pelican River (offering direct access to Detroit Lake), Dunton Locks Park (now home to one of world famous Thomas Dambo’s giant trolls) and the ever popular paved walking/bike path that meanders along the river to connect Detroit Lake and Sallie. With quick access to downtown Detroit Lakes, enough room to build a matching out building and PAVED roads, nothing can compare to this development. Bring your plans, builder and maybe even a boat! Currently we have boat slips available to purchase for an additional $95,000. Excellent opportunity. Additional lots available
Details
Maps
Documents
Contract Information
Maximum Price: 90000
Minimum Price: 79000
Owner is an Agent?: No
Auction?: No
Status: Active
Contingency: None
Current Price: $97,500
Original List Price: 97500
ListPrice: 97500
List Date: 2025-07-12
Office/Member Info
Association: LCAR
General Property Information
Assoc Mgmt Co. Name: Branch Creek
Assoc Mgmt Co. Phone #: 218-000-0000
Association Fee Frequency: Annually
Comp Sale YN: Yes
Development: Yes
Lot Measurement: Acres
Multiple PIDs?: No
Plat Recorded: Yes
Road Btwn WF & Home?: Yes
Waterfront Present: Yes
Yearly/Seasonal: Yearly
Zoning: Residential-Single Family
Lot Dimensions: Irr
Acres: 2.37
Lake/Waterfront Name: Detroit
Association Fee: 200
Location, Tax and Other Information
AssocFeeYN: Yes
Legal Description: Section 09 Township 138 Range 041
Block 001 Lot 001 BRANCH CREEK
LOT 1 BLK 1.
Listing City: Detroit Lakes
Map Page: 999
Municipality: Detroit Lakes
School District: Detroit Lakes
School District Phone: 218-847-9271
DNR Lake ID#: 03038100
DNR Lake Classification: General Development
Property ID Number: 190845000
Tax Year: 2024
Tax Amount: 241.53
In Foreclosure?: No
Potential Short Sale?: No
Lender Owned?: Not disclosed
Directions & Remarks
Public Remarks: BRANCH CREEK-OFFERING DIRECT ACCESS TO DETROIT LAKE: Ideal location to build what fits your lifestyle. These spacious lots are framed by the Pelican River (offering direct access to Detroit Lake), Dunton Locks Park (now home to one of world famous Thomas Dambo’s giant trolls) and the ever popular paved walking/bike path that meanders along the river to connect Detroit Lake and Sallie. With quick access to downtown Detroit Lakes, enough room to build a matching out building and PAVED roads, nothing can compare to this development. Bring your plans, builder and maybe even a boat! Currently we have boat slips available to purchase for an additional $95,000. Excellent opportunity. Additional lots available
Directions: From Detroit Lakes, Hwy 59 South, just before Village of Riverview Campground. On the East side of 59
Acreage Information
Maximum Acres: 2.45
Minimum Acres: 0.92
Assessments
Assessment Balance: 62.47
Tax With Assessments: 304
Association Fee Includes
Dock: 1
Builder Information
Builder Restrictions: Open
Development Status
Plat Designed: 1
Insurance Fee
Insurance Fee: 0
Lake Details
Lake Acres: 3089
Lake Depth: 82
Lake/Waterfront
Lake Front: 1
River Front: 1
Lease Details
Land Leased: Not Applicable
Lot Description
Additional Land Available: 1
Miscellaneous Information
Homestead: No
Total Lots Available: 9
Total Lots Sold: 14
Ownership
Fractional Ownership: No
Public Survey Info
Range#: 041
Section#: 09
Township#: 138
Restriction/Covenants
Other: 1
Topography
Gently Rolling: 1
Available Utilities
Electricity Available: 1
None Connected: 1
Dimension Information
Lot Size Min: 2.37
Improvements
Paved Streets: 1
Land Inclusions
Platted: 1
Location Tax and Other Information
House Number: 1
Street Name: Branch Creek
Street Suffix: Road
Postal City: Detroit Lakes
County: Becker
State: MN
Zip Code: 56501
Property Features
Association Fee Includes: Dock
Available Utilities: Electricity Available; None Connected
Development Status: Plat Designed
Improvements: Paved Streets
Land Inclusions: Platted
Lot Description: Additional Land Available
Topography: Gently Rolling
Listing Office: REMAX Lakes Region
Last Updated: January - 27 - 2026
The data relating to real estate for sale on this web site comes in part from the Broker Reciprocity SM Program of the Regional Multiple Listing Service of Minnesota, Inc. The information provided is deemed reliable but not guaranteed. Properties subject to prior sale, change or withdrawal. ©2024 Regional Multiple Listing Service of Minnesota, Inc All rights reserved.
Agreement New Sub-Division Road.pdf